Return to RAF Bridgnorth Home page
RAF roundel             RAF Bridgnorth             RAF roundel

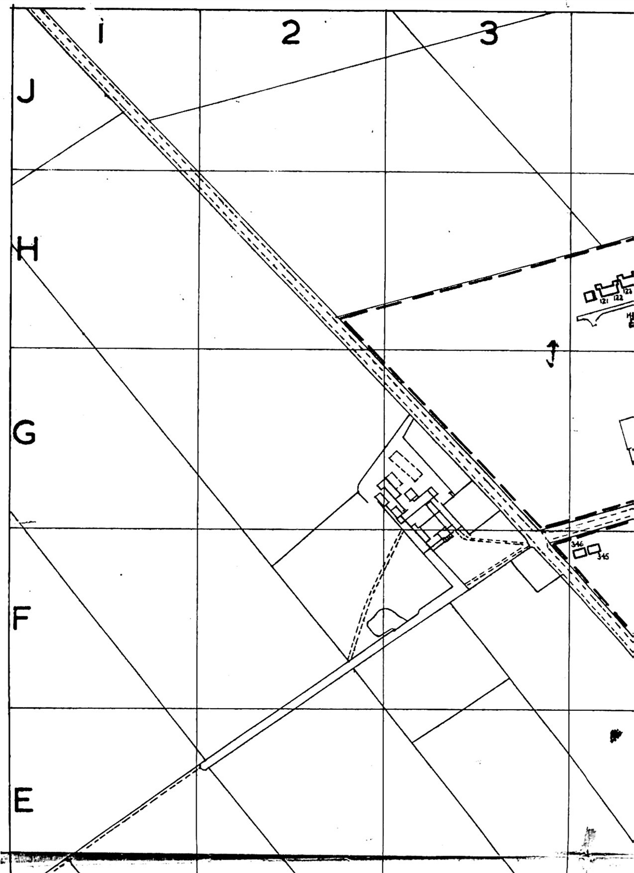
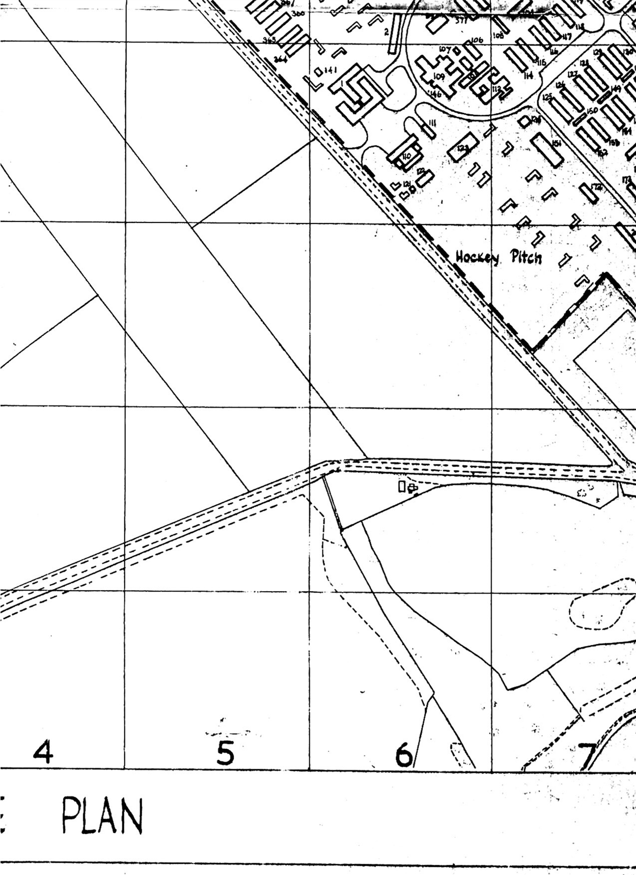
This large plan of RAF Bridgnorth has been divided into 8 sections. Each of the 375 buildings are numbered and can be identified.
A location index to the buildings will be found here.

Click on a section of the plan below.

Also see the numerous aerial photographs in the 'General photographs' section.

1A 2A 3A 4A
1B 2B 3B 4B

Return to RAF Bridgnorth Home page